|
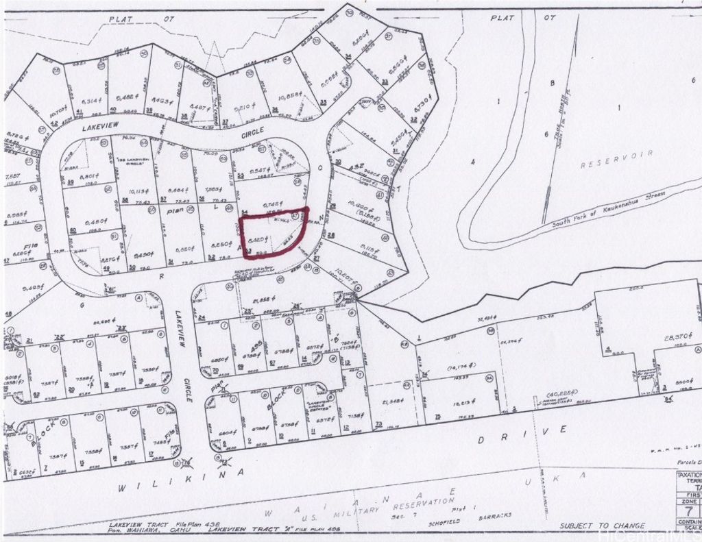
One of three contiguous lots with A2 (apartment - medium density) zoning. Corner lot minutes from Schofield Barracks and Wahiawa Town with shops, restaurants and medical facilities. (TMKs 1-7-3-008-051 and 1-7-3-008-052 are also available but not included in this listing. Buyer should do their own due diligence regarding the development potential for this lot.
DAYS ON MARKET | 280 | LAST UPDATED | 1/2/2025 |
---|---|---|---|
TRACT | WILIKINA | YEAR BUILT | 0 |
COMMUNITY | Central | COUNTY | Oahu |
STATUS | Active | PROPERTY TYPE(S) | Lot/Land/Acreage |
ADDITIONAL DETAILS | |
AREA | Central |
---|---|
LOT | 8429 acre(s) |
LOT DESCRIPTION | Cleared, Corner Lot, Level |
SUBDIVISION | WILIKINA |
TAXES | 2580 |
UTILITIES | Cable Available, Electricity Available, Phone Available, Sewer Available, Water Available |
VIEW DESCRIPTION | None |
WATER | Public |
WATERFRONT DESCRIPTION | Other |
ZONING | 12 - A-2 Medium Density Apartme |
MORTGAGE CALCULATOR
TOTAL MONTHLY PAYMENT
0
P
I
*Estimate only
SATELLITE VIEW |
/ | |
We respect your online privacy and will never spam you. By submitting this form with your telephone number
you are consenting for Celester
Thomas to contact you even if your name is on a Federal or State
"Do not call List".
Listed with Aloha Island Homes
Based on information from the Multiple Listing Service of HiCentral MLS, Ltd.
active listings last updated on 10/5/25 1:44 PM PDT.
Information is deemed reliable but not guaranteed.
Copyright: 2025 by HiCentral MLS, Ltd.
IDX information is provided exclusively for consumers' personal, non-commercial use and may not be used for any purpose other than to identify prospective properties consumers may be interested in purchasing.
Some of the active listings appearing on this site may be listed by other REALTORS®. If you are interested in those active listings, our company may represent you as the buyer's agent. If the active listing you are interested in is our company’s active listing, you may speak to one of our agents regarding your options for representation.
active listings last updated on 10/5/25 1:44 PM PDT.
Information is deemed reliable but not guaranteed.
Copyright: 2025 by HiCentral MLS, Ltd.
IDX information is provided exclusively for consumers' personal, non-commercial use and may not be used for any purpose other than to identify prospective properties consumers may be interested in purchasing.
Some of the active listings appearing on this site may be listed by other REALTORS®. If you are interested in those active listings, our company may represent you as the buyer's agent. If the active listing you are interested in is our company’s active listing, you may speak to one of our agents regarding your options for representation.
This IDX solution is (c) Diverse Solutions 2025.